Morphology
Cultured undifferentiated hPSCs have a stereotypical morphology including formation of characteristic colonies with defined borders containing tightly packed cells exhibiting a high nuclear: cytoplasmic ratio and prominent nucleoli.
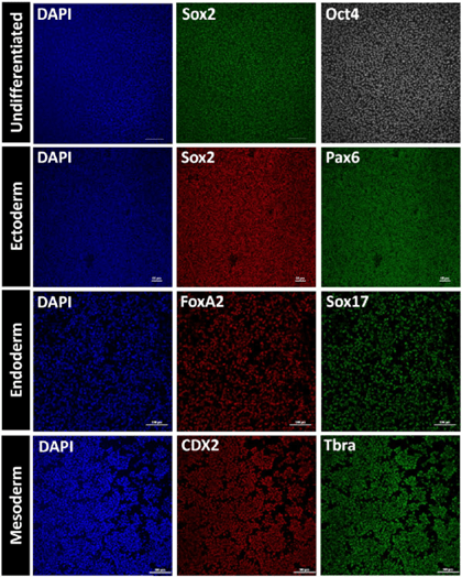
Characterizing hPSC lines using a standard series of quality control metrics is important before investing resources in project-specific iPSC analyses and critical to ensure the rigor and reproducibility of hPSC research.
The PSCF offers fee-for-service access to the assays for hPSC authentication and quality assessment recommended by the International Society for Stem Cell Research.